相关产品推荐更多 >
万千商家帮你免费找货
0 人在求购买到急需产品
- 详细信息
- 询价记录
- 文献和实验
- 技术资料
- 保存条件:
-30 ~ -15℃保存
- 供应商:
南京诺唯赞生物科技股份有限公司
- 英文名:
TUNEL BrightGreen Apoptosis Detection Kit
- 库存:
大量
- 规格:
20 rxns/50 rxns/100 rxns
| 规格: | 20 rxns | 产品价格: | ¥1780.0 |
|---|---|---|---|
| 规格: | 50 rxns | 产品价格: | ¥3080.0 |
| 规格: | 100 rxns | 产品价格: | ¥4800.0 |
TUNEL BrightGreen Apoptosis Detection Kit
更亮、更稳定的绿色荧光 TUNEL 凋亡检测

石蜡切片、冰冻切片、贴壁和悬浮培养细胞的凋亡检测

Bright 因子,使得荧光更亮,抗淬灭能力更强
高活性的重组TdT 酶保证荧光掺入效率
适用于细胞爬片、石蜡切片和冰冻切片


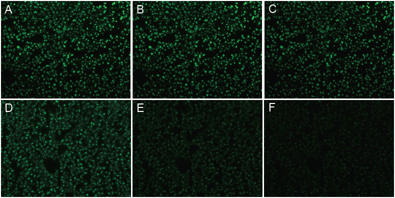
图1. 小鼠肝脏组织
组织切片经DNase I 处理后TUNEL 染色。A-C 分别为BrightGreen 染色后于紫外光(460 nm) 下照射1 min、3 min、6 min 后拍照。D-F 分别为FITC 染色后于紫外光(460 nm) 下照射1 min、3 min、6 min 后拍照。

TUNEL BrightGreen Apoptosis Detection Kit 是TUNEL FITC Apoptosis Detection Kit (A111) 的升级版本。试剂盒中包含小分子化合物Bright 因子,可与FITC 非共价结合,增强其稳定性,并使其信号放大,从而使标记物更亮,抗淬灭能力更强。



-30 ~ -15℃保存,≤0℃运输;
BrightGreen Labeling Mix:-30 ~ -15℃避光保存。
风险提示:丁香通仅作为第三方平台,为商家信息发布提供平台空间。用户咨询产品时请注意保护个人信息及财产安全,合理判断,谨慎选购商品,商家和用户对交易行为负责。对于医疗器械类产品,请先查证核实企业经营资质和医疗器械产品注册证情况。
- 作者
- 内容
- 询问日期
文献和实验Detection of Apoptosis by the TUNEL Assay
Apoptosis is the name given to a normal cell process—that of programmed cell death. As the term implies, this is normally a well controlled and highly regulated series of events leading to the elimination of an “unwanted” cell
Detection of Apoptosis by TUNEL Assay
Terminal deoxynucleotidyl transferase (T dT) dU TP N ick-E nd L abeling (TUNEL) assay has been designed to detect apoptotic cells that undergo extensive DNA degradation during the late stages of apoptosis. The method is based on the ability
Detection of apoptotic process in situ using immunocytochemical and TUNEL assays
, however, can not provide information regarding the histological localization at single cell level. This can be done by immunocytochemical method (A) or by enzymatic in situ labeling of apoptosis-induced DNA strand breaks (TUNEL) (B). Apoptosis was observed












