相关产品推荐更多 >
万千商家帮你免费找货
0 人在求购买到急需产品
- 详细信息
- 技术资料
- 提供商:
上海芯超生物科技有限公司
- 服务名称:
mIHC/多色免疫组化
- 规格:
询价021-51371308

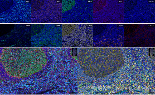
今时不同往日!现在,我们升级啦!
最多可同时标记10个蛋白,让您的实验更高效、数据更丰富!无论是复杂机制研究,还是细胞互作网络,都能轻松驾驭!

双重大促,任您选择!
为庆祝技术升级,感恩回馈新老客户,我们推出两大超值活动,二选一,助您科研加速!
活动一:统计分析免费送! 6-10标多色项目,即可免费赠送专业统计分析服务!数据解读更轻松,结果呈现更清晰,让您的研究事半功倍!
活动二:多送1标,加量不加价! 5标以上多色项目,直接免费赠送1个指标!花X个指标的钱,实际可做X+1个指标,性价比拉满!
活动时间:活动发布日起~2025年10月31日。
机会难得,赶快联系当地销售或拨打热线电话下单吧!升级技术+超值优惠,助您科研一路领先!
风险提示:丁香通仅作为第三方平台,为商家信息发布提供平台空间。用户咨询产品时请注意保护个人信息及财产安全,合理判断,谨慎选购商品,商家和用户对交易行为负责。对于医疗器械类产品,请先查证核实企业经营资质和医疗器械产品注册证情况。
技术资料【优惠活动】mIHC重磅升级!10标同测,效率翻倍,优惠来袭!
询价










