相关产品推荐更多 >
万千商家帮你免费找货
0 人在求购买到急需产品
- 详细信息
- 技术资料
- 免疫原:
A synthetic peptide from the internal region of human IDH2 which includes the mutation of R172H.
- 亚型:
IgG
- 形态:
液体
- 保存条件:
零下20℃
- 克隆性:
单克隆
- 标记物:
FITC
- 适应物种:
脊椎动物
- 保质期:
24个月
- 抗原来源:
蛋白
- 目录编号:
TD-26084
- 级别:
科研级
- 库存:
999
- 供应商:
武汉天德
- 宿主:
Mouse
- 应用范围:
ELISA, WB, IHC, IF
- 浓度:
1mg/ml
- 靶点:
R172H
- 抗体英文名:
Anti IDH2(R172H) Mouse Monoclonal Antibody
- 抗体名:
IDH2(R172H)
- 规格:
100μl
IDH2(R172H)
| Cat. #:: TD-26084 |
| Gene Symbol: IDH2 |
| Description: Anti-IDH2(R172H) Mouse Monoclonal Antibody |
| Background: Isocitrate dehydrogenase (IDH) catalyzes the oxidative decarboxylation of isocitrate to 2-oxoglutarate. Mutations of Arg-172 in IDH2 to Cys, His, Leu or Ser abolish magnesium binding and the conversion of isocitrate to alpha-ketoglutarate. Instead, alpha-ketoglutarate is converted to R-2-hydroxyglutarate. Elevated levels of R-2-hydroxyglutarate are correlated with an elevated risk of malignant brain tumors. |
| Immunogen: A synthetic peptide from the internal region of human IDH2 which includes the mutation of R172H. |
| Applications: ELISA, WB, IHC, IF |
| Recommended Dilutions: ELISA: 1:1000-1:5000 WB: 1:100-1:1000 IHC: 1:50-1:100 IF: 1:50-1:100 |
| Concentration: 1 mg/ml |
| Host Species: Mouse |
| Format: Liquid |
| Clonality: Monoclonal |
| Isotype: IgG |
| Purity: Purified from ascites |
| Preservative: No |
| Constituents: PBS (without Mg2+ and Ca2+), pH 7.4, 150 mM NaCl, 50% glycerol |
| Species Reactivity: Anti-IDH2(R172H) antibody recognizes IDH2(R172H) of vertebrates. |
| Storage Conditions: Store at -20°C. Avoid repeated freezing and thawing. |
| Western blot:
Western blot analysis of recombinant IDH2(R172H) and wild type IDH2 proteins.
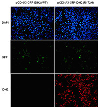
Immunofluorescence of cells expressing IDH2 proteins with Anti-IDH2(R172H) antibody. HEK293T cells were transfected with pCDNA3-GFP-IDH2 (WT) plasmid (left column) or pCDNA3-GFP-IDH2(R172H) plasmid (right column), then fixed and stained with Anti-IDH2(R172H) monoclonal antibody (Cat. #TD-26084). |
风险提示:丁香通仅作为第三方平台,为商家信息发布提供平台空间。用户咨询产品时请注意保护个人信息及财产安全,合理判断,谨慎选购商品,商家和用户对交易行为负责。对于医疗器械类产品,请先查证核实企业经营资质和医疗器械产品注册证情况。
技术资料暂无技术资料 索取技术资料











